Descartan que imagen detectada a 477 metros de profundidad sea del ARA San Juan
La información fue confirmada por el sumergible ruso Pantera Plus, que trabajaba en la zona. La investigación parece volver a foja cero.

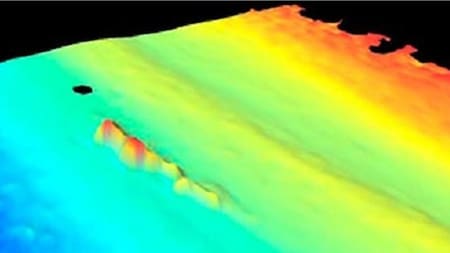
El Pantera Plus, de la Armada de Rusia, descartó que sea del submarino desaparecido la imagen acústica encontrada a 477 metros de profundidad por el Víctor Angelescu, del equipo oceanográfico nacional.
El objeto hallado en realidad pertenece a un buque pesquero que quedó en el fondo del mar, como tantos otros.
En las próximas horas Estados Unidos sumará un minisubmarino y Rusia aportaría otra nave. Ambas pueden identificar objetos hasta a 6 mil metros de profundidad. También colaborará Chile.
Las otras tres imágenes detectadas, que alimentan la esperanza del Gobierno, se encuentran a mayor profundidad en el mar argentino.
Más leídas















